Заказать съемку
Пилоты
Объявления
Фото и видео
Новости
Войти
Регистрация
Войти
Авторизация
Запомнить меня
Войти
Забыли пароль?
Регистрация
Заказать съемку
Пилоты
Объявления
Фото и видео
Новости
Главная
Фото и Видео
Фото
Следующая работа
Предыдущая работа
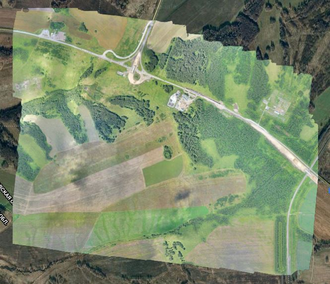
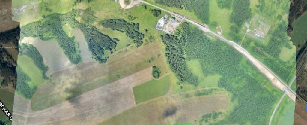
Топосъемка 1000 гектар.
Юрга
1313
0
Kolykoks
По заказу отсняли 1000гектар, обработали склеив один файл.
Будьте первым, кто оставит комментарий
© 2026 PilotHUB.ru
съемка с квадрокоптера по всей России
Тарифы и цены
Пользовательское соглашение
Политика обработки персональных данных
Контакты
О нас
Информация
Тарифы и цены
Пользовательское соглашение
Политика обработки персональных данных
Контакты
О нас
Сервисы
Логи DJI GO
Карта полетных зон
Конкурсы
Мы в соц сетях